豊原下町土地

900万円~1,000万円

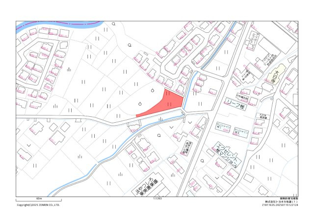
熊本県八代市豊原下町4395

肥薩おれんじ鉄道「肥後高田」駅徒歩7分

価格
900万円~1,000万円
土地面積(坪数)
875.00㎡~1487.00㎡(264.68坪~449.81坪)
所在地
熊本県八代市豊原下町4395
築年
-(-)
駐車
-
交通

肥薩おれんじ鉄道肥後高田」駅 徒歩7分

豊原下町土地の基本情報

物件名
豊原下町土地
価格
900万円~1,000万円
土地面積
875.00㎡~1487.00㎡
築年月
-(-)
総区画数
-
所在地
熊本県八代市豊原下町4395
交通

肥薩おれんじ鉄道肥後高田」駅 徒歩7分

豊原下町土地の詳細情報

設備条件
設備(その他)
    -
駐車場/月額
-/-
土地権利
所有権
国土法届出
不要
用途地域
無指定/第二種中高層住居専用
区画数
- / -
管理形態
-
管理員の勤務形態
-
管理会社
-
取引態様
一般媒介
引渡し
相談
開発許可番号
-

豊原下町土地のコメント(おすすめポイント)

多くの方からご好評頂いている豊原下町土地のご紹介です。好条件で利便性の高い周辺環境となっており、事業用地にも適した立地となっています。駅から徒歩7分圏内に立地しています。不動産探しは当社のスタッフにお任せください。まずはお気軽にお問い合わせください。

豊原下町土地で募集中の物件

  1. 449.81坪 (1487.00㎡)

    900万円(2万円/坪)

  2. 264.68坪 (875.00㎡)

    1,000万円(3.78万円/坪)

周辺施設

  • おべんとうのヒライ八代南店の画像

    その他

    おべんとうのヒライ八代南店

    620m(8分)

  • セブンイレブン 八代本野町店の画像

    コンビニエンスストア

    セブンイレブン 八代本野町店

    620m(8分)

  • 八代市立第五中学校の画像

    中学校

    八代市立第五中学校

    623m(8分)

  • ジョイフル 南八代店の画像

    ファミリーレストラン

    ジョイフル 南八代店

    639m(8分)

  • ファミリーマート八代平山新町店の画像

    コンビニエンスストア

    ファミリーマート八代平山新町店

    698m(9分)

  • ゆめマート 八代の画像

    スーパー

    ゆめマート 八代

    822m(11分)

  • ほっとも八代本野店の画像

    その他

    ほっとも八代本野店

    833m(11分)

  • フレッシュにしだ高田店の画像

    スーパー

    フレッシュにしだ高田店

    923m(12分)

  • MEGAドン・キホーテ八代店の画像

    ディスカウントショップ

    MEGAドン・キホーテ八代店

    933m(12分)

  • 熊本高専の画像

    高校

    熊本高専

    945m(12分)

  • ディスカウントドラッグ コスモス 高田店の画像

    ドラッグストア

    ディスカウントドラッグ コスモス 高田店

    986m(13分)

  • ローソン 八代高田店の画像

    コンビニエンスストア

    ローソン 八代高田店

    1092m(14分)

  • 高田郵便局の画像

    郵便局

    高田郵便局

    1104m(14分)

  • 高田あけぼの保育園の画像

    保育園

    高田あけぼの保育園

    1130m(15分)

  • 八代市立高田小学校の画像

    小学校

    八代市立高田小学校

    1433m(18分)

  • 熊本県立八代工業高校の画像

    高校

    熊本県立八代工業高校

    1529m(20分)

  • 高田東部保育園の画像

    保育園

    高田東部保育園

    1537m(20分)

  • スーパー・キッド 八代高田店の画像

    ディスカウントショップ

    スーパー・キッド 八代高田店

    1743m(22分)

  • 八代清流高校の画像

    高校

    八代清流高校

    2340m(30分)

近隣の物件

  1. 八代市田中西町

    - (226.99㎡)

    817540

  2. 八代市松崎町

    - (268.21㎡)

    7813,000

  3. 八代市松崎町

    - (216.66㎡)

    6353,000

  4. 八代市田中西町

    - (226.73㎡)

    8166,970

よく見られている物件

  1. 八代市大村町

    - (284.24㎡)

    6792,420

  2. 八代市古閑中町

    - (194.00㎡)

    420万円

  3. 八代市西松江城町

    - (214.04㎡)

    390万円

  4. 八代市日置町

    - (148.91㎡)

    500万円

豊原下町土地

お気軽にお問い合わせください

無料お問い合わせ

株式会社 トヨオカ地建

0965-35-4097

9:30~18:00

(休:●八代店:火曜日・水曜日 ●松江通店:水曜日)